Hurrikan «Melissa»: Mindestens 20 Tote bei Überschwemmungen in Haiti
Nach den verheerenden Schäden durch «Melissa» hat Jamaika den Katastrophenfall ausgerufen. Der Hurrikan hat mittlerweile Kuba erreicht.
00:00 / 00:00
Das Wichtigste in Kürze
- Hurrikan «Melissa» traf als Kategorie-5-Sturm auf Jamaika und richtete massive Schäden an.
- Tausende Menschen suchten Schutz in Notunterkünften, mehrere Spitäler wurden beschädigt.
- Die Behörden warnen vor weiteren Unwettern und «möglicherweise beispiellosen» Folgen.
- Der Hurrikan hat mittlerweile Kuba erreicht.
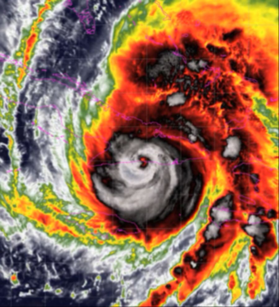
Hurrikan «Melissa» hat als Kategorie-5-Sturm Jamaika erreicht und dort schwere Verwüstungen verursacht.
Dächer wurden abgerissen, Strassen überflutet und zahlreiche Gebäude zerstört. Die Regierung rief den Katastrophenfall aus und warnt vor «beispiellosen» Folgen.
Tausende Menschen sind in Notunterkünften untergebracht, mehrere Spitäler stark beschädigt. Ein Grossteil der Insel ist ohne Strom.
Rettungskräfte und das Militär sind im Einsatz, während das Ausmass der Zerstörung weiterhin unklar bleibt. Bisher gibt es jedoch keine Meldungen über Tote.
Auch Kuba und die Bahamas müssen sich auf massive Regenfälle und gefährliche Bedingungen einstellen. In beiden Ländern fordern die Behörden die Bevölkerung auf, sich unverzüglich in Sicherheit zu bringen.
Im Ticker von Nau.ch bleibst du auf dem Laufenden:
Mindestens 20 Tote bei Überschwemmungen in Haiti
18.45: Im Karibikstaat Haiti sind bei schweren Überschwemmungen mindestens 20 Menschen ums Leben gekommen. Mindestens zehn weitere werden vermisst, nachdem ein Fluss aufgrund der anhaltenden Regenfälle während des Hurrikans «Melissa» über die Ufer getreten war, wie der Leiter des Zivilschutzes, Emmanuel Pierre, örtlichen Medien sagte. Die Hälfte der Todesopfer seien Kinder. Die Suchaktionen dauern an.

Der Fluss La Digue war am frühen Mittwochmorgen (Ortszeit) im Westen des Landes über die Ufer getreten, wie unter anderem die Zeitung «Le Nouvelliste» und der Fernsehsender Radio Télévision Caraïbes berichteten. Zunächst war von acht Toten die Rede gewesen, die Zahl wurde später erhöht und könnte noch weiter steigen.
Mehrere Ortschaften in der Gemeinde Petit Goâve wurden den Berichten zufolge überflutet. Die Überschwemmungen hätten erhebliche Schäden verursacht, meldete «Le Nouvelliste» unter Berufung auf Augenzeugen. Häuser, Autos und Vieh seien von reissenden Wassermassen mitgerissen und Felder zerstört worden.
Hurrikan bedroht Bahamas mit zerstörerischer Kraft
17.40: Hurrikan «Melissa» setzt seinen verheerenden Kurs durch den Atlantik fort. Nachdem er bereits zweimal auf Land getroffen ist – zuerst auf Jamaika und danach auf Kuba – zieht der Sturm nun in Richtung der Bahamas und anschliessend auf Bermuda zu.
Laut dem US-Hurrikanzentrum in Miami ist «Melissa» derzeit ein Hurrikan der zweitstärksten Kategorie mit anhaltenden Windgeschwindigkeiten von bis zu 155 Kilometern pro Stunde.
Der Sturm sollte noch am Mittwoch über den südöstlichen oder zentralen Teil des Archipels der Bahamas ziehen. Die Meteorologen warnten vor zerstörerischen Windböen und heftigen Niederschlägen auf den Bahamas und Kuba. Auch sei auf den Bahamas mit einer gefährlichen Sturmflut zu rechnen.
Am späten Donnerstag sollte «Melissa» nahe oder westlich von Bermuda vorbeiziehen. Eine Hurrikan-Warnung gilt weiterhin für den Osten Kubas. Die Turks- und Caicosinseln werden auch die Auswirkungen des Sturms teilweise zu spüren bekommen.
«Melissa» wütet über Kuba: Videos zeigen Überschwemmungen
14.00: Mit anhaltenden Windgeschwindigkeiten von bis zu 185 Kilometern pro Stunde fegt Hurrikan «Melissa» über Kuba hinweg und sorgt für heftige Überschwemmungen.
In den sozialen Netzwerken kursierten erste Videos, die die Situation in den besonders betroffenen Gebieten zeigen sollen: Menschen waten in ihren Häusern durch fast knietiefes Wasser, es sind Hilferufe zu hören. Draussen haben sich Strassen in reissende Flüsse verwandelt.
Heavy rains hit Cuba’s second largest city, Santiago de Cuba, on October 28, hours before Hurricane Melissa was set to make landfall. It is the third most intense hurricane observed in the Caribbean after Wilma in 2005 and Gilbert in 1988, according to AccuWeather. pic.twitter.com/41sSVAGsBr
— Reuters (@Reuters) October 29, 2025
Starke Regenfälle trafen Kubas zweitgrösste Stadt, Santiago de Cuba, bereits am 28. Oktober, wenige Stunden bevor der Hurrikan Melissa auf Land treffen sollte, wie Reuters berichtet. Die Videos zeigen gemäss der Newsagentur Bilder vom 28. Oktober, also noch bevor der Hurrikan Kuba erreichte.
Der Hurrikan der Kategorie drei von fünf befand sich nach Angaben des US-Hurrikanzentrums NHC etwa drei Stunden nach seiner Ankunft in Kuba über dem Inland der südöstlichen Provinz Santiago de Cuba.
Nach Angaben der Regierung waren zuvor mehr als 735'000 der knapp zehn Millionen Einwohner Kubas in Sicherheit gebracht worden. Das Hurrikanzentrum hatte vor «lebensbedrohlichen und möglicherweise katastrophalen Sturzfluten mit zahlreichen Erdrutschen» gewarnt.
Wind auf Jamaika lässt nach
12.55: Einen Tag nach dem Durchzug von Hurrikan «Melissa» auf Jamaika lässt der Wind endlich nach. Den Bewohnern der Insel werde dennoch empfohlen, bis Sonnenaufgang ihre Häuser nicht zu verlassen, teilte das US-Hurrikanzentrum NHC mit. Eine Hurrikan-Warnung galt nicht mehr.
«Melissa» war am Dienstag als Hurrikan der höchsten Kategorie 5 mit anhaltenden Windgeschwindigkeiten von bis zu 295 Kilometern pro Stunde auf Jamaika getroffen. Der Hurrikan brachte Sturmfluten, zerstörerische Winde und heftige Regenfälle mit sich.
Nach Jamaika: Hurrikan «Melissa» erreicht Kuba
08.42: Nach seinem Durchzug durch Jamaika erreicht der gefährliche Hurrikan «Melissa» Kuba. Der Wirbelsturm schwächte sich kurz vor seiner Ankunft im Karibikstaat leicht ab. Er traf als Hurrikan der Stärke 3 von 5 im Südosten der Insel nahe dem Ort Chivirico auf Land. Wie das US-Hurrikanzentrum in Miami mitteilt, erreichte er anhaltende Windgeschwindigkeiten von bis zu 195 Kilometern pro Stunde.

Mehr als 735.000 Menschen wurden in Sicherheit gebracht, wie Präsident Miguel Díaz-Canel auf der Plattform X schreibt. Kuba hat knapp zehn Millionen Einwohner.
Laut dem Hurrikanzentrum ist mit «lebensbedrohlichen und möglicherweise katastrophalen Sturzfluten mit zahlreichen Erdrutschen» zu rechnen. Nach Kuba soll «Melissa» heute Nachmittag die Bahamas erreichen.
«Unter Wasser»: Schwere Schäden auf Jamaika nach Hurrikan
07.35: Der starke Hurrikan «Melissa» hat auf Jamaika Häuser und Strassen beschädigt, ganze Gebiete überflutet und mehr als 530’000 Haushalte von der Stromversorgung abgeschnitten. Die Behörden wollten zunächst keine Angaben zu möglichen Opfern machen, sprachen aber von Menschen, die aufgrund der extremen Bedingungen während des Sturms nicht mehr aus ihren beschädigten Häusern gerettet werden konnten.
«Ich habe noch keine verlässlichen Informationen über Tote, aber angesichts der Schäden durch den Hurrikan der Kategorie 5 gehen wir davon aus, dass Menschen ihr Leben verloren haben», sagte Ministerpräsident Andrew Holness dem US-Fernsehsender CNN.
Bilder und Videos aus der Region St. Elizabeth in Jamaika zeigen die verheerenden Schäden in der Stadt Black River. Laut Videoaufnahmen auf X wurde dabei auch die historische St.-John-Parish-Kirche zerstört.
The St. John Parish Anglican Church building which is also a national heritage site has been destroyed by another disaster after around a decade namely Hurricane Melissa this time
— sainty876 (@sainty876) October 29, 2025
Black River, St. Elizabeth, Jamaica pic.twitter.com/DZyEBaNxcd
Auch Stunden nach dem Eintreffen des Hurrikans war das gesamte Ausmass der Schäden auf Jamaika immer noch ungewiss. Die Behörden rechneten allerdings mit schwerer Verwüstung. «Das ist eine der schlimmsten Erfahrungen, die wir je gemacht haben», sagte der Minister für lokale Verwaltung, Desmond McKenzie.
Krankenhäuser und Brücken wurden den Behördenangaben zufolge durch den Hurrikan beschädigt. Wassermassen schoben sich durch die Strassen. Der Sturm liess Bäume und Strommasten umstürzen. Zahlreiche Strassen wurden dadurch blockiert. Die Region St. Elizabeth im Südwesten des Landes stehe «unter Wasser», sagte der Minister. Dort seien die Schäden erheblich.
«Es gibt weitreichende Schäden im Südwesten in St. Elizabeth, viele Überschwemmungen, umfangreiche Windschäden an Schulen, Krankenhäusern und Häusern», sagte Richard Thompson, Generaldirektor des Amtes für Katastrophenschutz und Notfallmanagement (ODPEM), dem Sender CNN.
Weitere Bilder aus St. Elizabeth in Jamaika
05.59: Weitere Bilder aus der Region St. Elizabeth in Jamaika zeigen eine riesige Zerstörung in der dortigen Hauptstadt Black River.

Noch 25'000 Touristen in Jamaika
05.01: Etwa 25'000 Touristen befinden sich derzeit in Jamaika, während das Land mit den Aufräumarbeiten und der Beurteilung der durch Hurrikan Melissa verursachten Schäden beginnt. Das teilten Beamte am Dienstag nach dem Sturm mit.
«Es besteht kein Grund zur Sorge», sagte Dana Morris Dixon, Ministerin für Bildung, Kompetenzen, Jugend und Information, in einer Erklärung.
Sie fügte an, dass das Tourismusministerium ein Zentrum unterhalte, das in ständigem Kontakt mit allen Hotels stehe und Unterstützung leiste.
Auf Weg zu Kuba: «Melissa» wieder Hurrikan der Kategorie 4
04.30: Hurrikan Melissa hat sich zu einem Sturm der Kategorie 4 mit Windgeschwindigkeiten von 210 km/h verstärkt und nähert sich dem Südosten Kubas. Das Zentrum des Sturms befindet sich etwa 177 Kilometer südwestlich von Guantanamo und bewegt sich mit 14,5 km/h nordostwärts.
Das Nationale Hurrikanzentrum warnt, dass «Melissa» innerhalb der nächsten Stunden «als extrem gefährlicher Hurrikan» auf Land treffen könnte. In der Nacht wird der Kern die Ostspitze Kubas überqueren und am Mittwoch über die südöstlichen und zentralen Bahamas hinwegziehen.
Für Jamaika wurde die Hurrikanwarnung inzwischen auf eine Tropensturmwarnung herabgestuft. Trotz des bevorstehenden Landgangs bleiben lebensbedrohliche Überschwemmungen und zerstörerische Winde im Osten Kubas bis weit in den Mittwochmorgen hinein zu erwarten.
Trump: «Sind bereit, Jamaika zu helfen»
04.02: Trump sagte, die USA würden die durch Hurrikan Melissa verursachten Schäden aufmerksam beobachten und seien bereit, Jamaika beim Wiederaufbau zu unterstützen. «Aus humanitären Gründen müssen wir handeln. Wir beobachten die Lage genau und sind bereit, Massnahmen zu ergreifen.»

Das sagte Trump zu Reportern an Bord der Air Force One auf dem Weg von Japan nach Südkorea. Er betonte, dass der Hurrikan enorme Schäden angerichtet habe. «Es ist buchstäblich so, dass alles umgeworfen wird, was vor ihm liegt», sagte Trump über den Sturm.
Kuba-Präsident: «Es wird eine sehr schwierige Nacht»
03.33: Der kubanische Präsident Miguel Díaz-Canel Bermúdez hat kürzlich auf X gepostet, dass aufgrund des Hurrikans «Melissa» mehr als 735'000 Menschen im ganzen Land evakuiert wurden.
«Es wird eine sehr schwierige Nacht für ganz Kuba werden, aber wir werden uns erholen, immer mit dem Glauben an den Sieg, den Fidel und Raúl in uns geweckt haben», sagte er in Bezug auf die Castro-Brüder, die ehemaligen Staatschefs des Landes.
Hurrikan «Melissa» rast nun auf Kuba zu
02.30: Hurrikan Melissa bewegt sich Richtung Norden in Richtung Kuba und wird das Land voraussichtlich in den nächsten fünf Stunden erreichen. Für den Osten des Landes werden lebensgefährliche Sturzfluten, Erdrutsche und meterhohe Sturmfluten erwartet.
Besonders die Region von Santiago de Cuba bis Guantánamo muss sich auf Überschwemmungen und schwere Schäden einstellen, während der Sturm weiter Richtung Landesinnere zieht.
Videos zeigen riesige Zerstörung in St. Elizabeth
02.11: Erste Videos erreichen die Welt aus dem Landkreis Saint Elizabeth im Südwesten Jamaikas. Die dortige Hauptstadt Black River und deren Infrastruktur wurde enorm von Hurrikan «Melissa» beschädigt.
Ein Minister der Lokalregierung sagt, dass das Black River Spital «St. Elizabeth Parish» ohne Strom sei und 75 Patienten verlegt werden müssten. Die Gemeinde stehe unter Wasser.
00:00 / 00:00
Auch die Region Clarendon habe erhebliche Schäden erlitten, fügte Desmond McKenzie vor den Medien hinzu. Weiter wurde eine Feuerwache in Santa Cruz überflutet.
Die Videos zeigen vor allem in Black River eine riesige Zerstörung. Dächer wurden abgedeckt, Gebäude zerstört und die Strassen sind überflutet.
Jamaika-Premier: «Verheerende Auswirkungen«
02.01: Jamaikas Premierminister Andrew Holness rechnet mit schweren Schäden durch Hurrikan «Melissa», besonders im Südwesten der Insel. Betroffen seien unter anderem Spitäler sowie zahlreiche Wohn- und Geschäftsgebäude.

Die Regierung habe einen Plan für schnelle Rettungs- und Wiederaufbauarbeiten vorbereitet. In einigen Regionen sollen Strom und Telekommunikation bereits bis Mittwoch wiederhergestellt werden, im Süden werde die Erholung jedoch länger dauern.
Hurrikan «Melissa» auf Kategorie 3 heruntergestuft
01.24: Hurrikan «Melissa» hat sich laut dem US-Hurrikanzentrum auf Kategorie 3 abgeschwächt, erreicht aber immer noch Windgeschwindigkeiten von rund 205 Kilometern pro Stunde.
Für Jamaika werden weiterhin «katastrophale» Überschwemmungen erwartet, örtlich könnten bis zu 76 Zentimeter Regen fallen. Die Behörden rufen Menschen auf der Insel dazu auf, in Schutzunterkünften zu bleiben, bis der Sturm vollständig vorbeigezogen ist.
Auch Kuba und die Bahamas müssen sich auf massive Regenfälle und gefährliche Bedingungen einstellen. In beiden Ländern fordern die Behörden die Bevölkerung auf, sich unverzüglich in Sicherheit zu bringen.
Jamaika wegen Hurrikan zum Katastrophengebiet erklärt
00.05: Angesicht der schweren Schäden durch Hurrikan «Melissa» hat die jamaikanische Regierung die Karibikinsel zum Katastrophengebiet erklärt.

«Die Priorität der Regierung war stets die Sicherheit und das Wohlergehen aller Jamaikaner», schrieb Ministerpräsident Andrew Holness auf der Nachrichtenplattform X.
«Diese Anordnung gibt der Regierung die Handhabe, um unsere Reaktion auf Hurrikan Melissa zu koordinieren.»
Mehr als 530'000 Menschen ohne Strom
23.12: Seit 16 Uhr Ortszeit haben mehr als 530'000 Jamaikaner keinen Strom. Das sagte Desmond McKenzie, Minister für Kommunalverwaltung und Gemeindeentwicklung, am Dienstagnachmittag (Ortszeit). Das seien rund 77 Prozent aller Haushalte.
00:00 / 00:00
«Derzeit wird daran gearbeitet, unseren Dienst wiederherzustellen und dabei kritischen Einrichtungen wie Spitälern und Wasserpumpstationen Priorität einzuräumen», sagte McKenzie in einer ersten Zwischenbilanz der jamaikanischen Behörden.
Keine Toten in Zusammenhang mit Hurrikan gemeldet
22.45: Gute Nachrichten aus Jamaika: Seit der Hurrikan das Festland erreichte, wurden keine Todesfälle gemeldet. Trotzdem: «Die Berichte aus den Gebieten, durch die der Sturm gezogen ist, sind verheerend», sagte Edmund Bartlett, der Tourismusminister des Landes gegenüber «CNN».
«Die gute Nachricht ist, dass wir unsere Leute ausreichend schützen konnten, indem wir Notunterkünfte eingerichtet und sie dorthin gebracht haben», sagte er. Jamaika werde sich „schneller erholen als die meisten anderen Orte, weil wir gut vorbereitet sind“, sagte der Minister.
Zur Erinnerung: Drei Menschen starben in Jamaika, als Bäume gefällt wurden, um sich auf den Hurrikan vorzubereiten, sagte der Gesundheitsminister des Landes am Montag.















